Great foresight- the broader the spectrum the better the data when it comes to looking at nature’s extremes.
-
-
Kiitos. Käytämme tätä aikajanasi parantamiseen. KumoaKumoa
-
-
-
Cool stuff Simon, and great to point out that these amazing images does not come easy, but are the results of years of development
Kiitos. Käytämme tätä aikajanasi parantamiseen. KumoaKumoa
-
-
-
Was there a loss of something else (I do not _really_ know) in exchange? I am thinking about resolution as a non expert... Or was it just a better design?
Kiitos. Käytämme tätä aikajanasi parantamiseen. KumoaKumoa
-
Lataaminen näyttää kestävän hetken.
Twitter saattaa olla ruuhkautunut tai ongelma on muuten hetkellinen. Yritä uudelleen tai käy Twitterin tilasivulla saadaksesi lisätietoja.


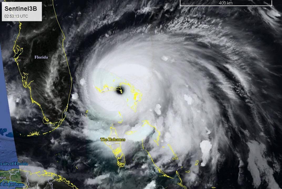
today at 02:53 UTC
Our thoughts are with those affected, while our