-
People View all
Verified account@NWSNHC Official Twitter account for the National Weather Service's National Hurricane Center. Details: http://weather.gov/twitter
Verified account@Hurricane The official Twitter account of the London
@Spitfire Overwatch Contenders team, British Hurricane. -
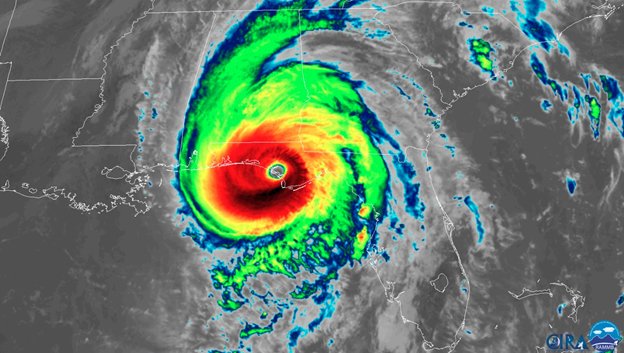
Do not focus on the wind speed category of
#Hurricane#Florence! Life-threatening storm surge flooding, catastrophic flash flooding and prolonged significant river flooding are still expected. More: http://hurricanes.gov pic.twitter.com/eiD4c8pkRx
-
Was checking out
#hurricane#Florence and decided to peak the differential reflectivity for fun in@RadarScope and yep, sure enough, birds! Those areas of red and pink you see in the eye are actually birds that are trapped in the storm!pic.twitter.com/LIuSjrofRr -
NEW:
#Hurricane#Florence has made landfall near Wrightsville Beach, North Carolina at 7:15 AM EDT (1115 UTC) with estimated maximum winds of 90 mph (150 km/h), and a minimum central pressure estimate of 958 mb (28.29"). http://hurricanes.gov pic.twitter.com/vzpe6MjTf9 -
#Hurricane#Florence is moving slowly inland, with days of heavy rain, storm surge, possible tornadoes and flooding still to come. We have 18 crews in the field and teams in studio to bring you LIVE 24/7 coverage through the weekend.pic.twitter.com/qHCZetlPUD
-
Now that it's
#Hurricane season, I made a really unhelpful map showing the tracks of every hurricane to hit#Florida from 1851 to 2013.pic.twitter.com/C60DmAkCq5
Show this thread -
Interesting visualisation of the hurricane
#StormSurge#HurricaneFlorence2018#HurricaneFlorerence#hurricane pic.twitter.com/XmSfzJvp1w -
Category of the storm is only related to wind, it does not tell you about all of the impacts with a
#hurricane like#florence. Our impacts have not changed with storm surge and catastrophic flooding. Do not let your guard down. https://www.weather.gov/media/mhx/LatestBriefing.pdf …pic.twitter.com/ioxvlw6Tam
-
Holy cow! A **fourth**
#hurricane just formed in the Atlantic, and there’s a 70% chance that a FIFTH cyclone will form in the Gulf of Mexico over the next 48 hours.
#Florence#Helene#Isaac#Joycepic.twitter.com/cbHW3IRue2
-
#Hurricane#Florence could bring up to 13 feet or more of storm surge to the Carolina coast. What does that look like? We show you like nobody else can.pic.twitter.com/8XCgmzeAP8 -
Two days blocking 3 spaces in the protected garage? Calling
#lame on that.#Hurricane Florence pic.twitter.com/dJgIr6Uwvt
-
The Atlantic currently has 3 named storms, and National
#Hurricane Center has 2 high areas for TC development in next 2 days. If all 5 systems were to be named at the same time, it would be 1st time on record Atlantic had 5 named storms simultaneously.#Florence#Helene#Isaacpic.twitter.com/GdtonuBV3q
Show this thread -
46 members of the SE Mass Technical Rescue team have started their trip to Raleigh, NC. Follow this account and retweet for regular updates on the team.
#hurricane pic.twitter.com/yqteyxGBX8 -
We are LIVE with you ALL day and night before, during and after
#Hurricane#Florence impacts the U.S. We have 18 crews in the field to bring you the latest updates, along with our team in the studio.pic.twitter.com/gCGF7WObWW
-
As
#HurricaneFlorence begins to affect#SC, residents who were unable to evacuate should stay indoors during the#hurricane & away from windows & glass doors; Close interior doors-secure & brace external doors; Be alert. Tornadoes are frequently spawned during hurricanes#TeamSC -
#HurricaneFlorence A taste of what's to come >>> Photos provided by North Topsail Beach Police Department at approximately 11:00 AM. Do not underestimate this storm ....#Hurricane#Florence#FlorenceNCpic.twitter.com/FJttZeR7wY
-
.
@parkertwc shows us what up to 9 feet or more of storm surge from#Hurricane#Florence could look like along the Carolina coast. Know what to expect where you live, our 24/7 LIVE coverage continues.#ImmersiveMixedReality#IMRpic.twitter.com/L4MSKuymXO -
10 years ago this AM,
#Hurricane#Ike made landfall on the TX coast. It was "only a Cat. 2", but was a $30b hurricane (2017 $). Don't make same mistake judging#Florence as "only a Cat. 2". Disastrous rainfall#flooding, surge impacts regardless. https://wxch.nl/2CRPTKf pic.twitter.com/7mPPzpW0OK
-
The images are frightening. From our archives, learn more on how our satellites are guiding rescue efforts from space as our friends in the US are being impacted by
#Hurricane#Florence. Stay safe: http://ow.ly/SWek30lP5EI .https://twitter.com/Space_Station/status/1039905108304252934 …
-
For the first time since 2008, the Atlantic has four named storms simultaneously:
#Florence#Helene#Isaac#Joyce#hurricane pic.twitter.com/zaWYIFDbYgShow this thread -
9/12 11:00 AM EDT: Here are the Key Messages for
#Hurricane#Florence. The full advisory is at: http://hurricanes.gov pic.twitter.com/HQ5pqRroGs
Loading seems to be taking a while.
Twitter may be over capacity or experiencing a momentary hiccup. Try again or visit Twitter Status for more information.

