Tweetovi
- Tweetovi, trenutna stranica.
- Tweetovi i odgovori
- Medijski sadržaj
Blokirali ste korisnika/cu @greennomad61
Jeste li sigurni da želite vidjeti te tweetove? Time nećete deblokirati korisnika/cu @greennomad61
-
Prikvačeni tweet
#animalrights are NOT a gift we give to#Animals They are a BIRTH RIGHT we have taken from them.#fact Thus supporting animal welfare (using them) is NOT giving them RIGHTS.#AnimalRightsLAWS because there are too many wrongs.#veganpic.twitter.com/i1KJVRwm7e
Prikaži ovu nitHvala. Twitter će to iskoristiti za poboljšanje vaše vremenske crte. PoništiPoništi -
Krasnov proslijedio/la je Tweet
Before you vote on Saturday, check out our guide to where political parties stand on animal cruelty issues https://banbloodsports.wordpress.com/2020/01/24/political-parties-and-animal-cruelty-issues/ … Make your vote count for the animals
#GE2020
#AnimalCruelty#Irelandpic.twitter.com/HYjThURTtH
Hvala. Twitter će to iskoristiti za poboljšanje vaše vremenske crte. PoništiPoništi -
We are all
#Earthlings Some of us may look different Some speak a different language But each has the RIGHT to livepic.twitter.com/Whkj2KGSA9
Hvala. Twitter će to iskoristiti za poboljšanje vaše vremenske crte. PoništiPoništi -
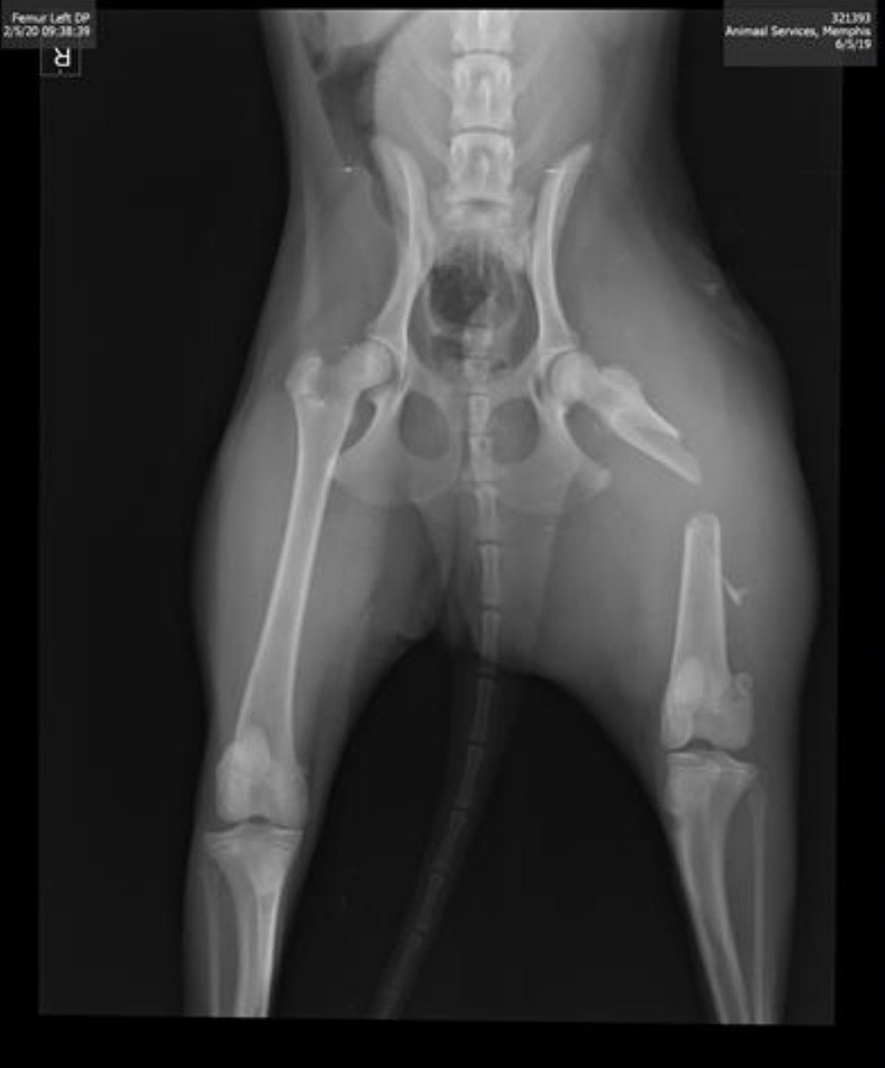
Krasnov proslijedio/la je Tweet
RT
.@GovBillLee .@MayorMemphis HELP
How u treat innocent animals is all ppl need to know
#DEATHROW
NEEDS #family#love not death
. #Memphis#Tennessee Adopt#Veterans find a buddy
#emergency PLEDGE for Rescue .@AdoptMashttps://twitter.com/reddogsusie/status/1225433646083059712 …
Hvala. Twitter će to iskoristiti za poboljšanje vaše vremenske crte. PoništiPoništi -
Krasnov proslijedio/la je Tweet
RT
.@GovBillLee .@MayorMemphis HELP. How u treat innocent animals is all ppl need to know#DEATHROW
NEEDS #family#love not death
. #Memphis#Tennessee Adopt#Veterans find a buddy
#WhatsWrongWithMemphis /
PLEDGE for Rescue .@AdoptMashttps://twitter.com/reddogsusie/status/1225237992874422272 …
Hvala. Twitter će to iskoristiti za poboljšanje vaše vremenske crte. PoništiPoništi -
Take action for #greysquirrels#AnimalRights#UK DYK
.@NaturalEngland revoked all licenses to release GREY SQUIRRELS due to their ‘non-native’ label
#TheresaVilliersMP#DEFRA to say STOP the killing, persecution of grey squirrels
https://animalaid.e-activist.com/page/52233/action/1 …pic.twitter.com/DkuVjTVn4A
Hvala. Twitter će to iskoristiti za poboljšanje vaše vremenske crte. PoništiPoništi -
Krasnov proslijedio/la je Tweet
Wow. Soooo a law to CONTINUE using other animals, eh, .
@chrisloder but with "global standards" Where is the LAW for#AnimalRights - u know the RIGHTS they were born with
Worst thing is that ppl think #LodersLaw is
I bet the .@RSPCA_official "high-welfare" dead animals agreepic.twitter.com/nom2WaKrWC
Hvala. Twitter će to iskoristiti za poboljšanje vaše vremenske crte. PoništiPoništi -
Krasnov proslijedio/la je Tweet
"Global Standards" in
#AnimalWelfare .@chrisloder are definitely NOT#AnimalRights AS FOLLOWS
#vivisection
bc it's animal "welfare"pic.twitter.com/KKj4aze6zE
Hvala. Twitter će to iskoristiti za poboljšanje vaše vremenske crte. PoništiPoništi -
Krasnov proslijedio/la je Tweet
"Global Standards" in
#AnimalWelfare .@chrisloder are definitely NOT#AnimalRights AS FOLLOWS
sexual violation in #AnimalAgriculture
bc it's animal "welfare"pic.twitter.com/LXbNHsJ2rm
Hvala. Twitter će to iskoristiti za poboljšanje vaše vremenske crte. PoništiPoništi -
Krasnov proslijedio/la je Tweet
"Global Standards" in
#AnimalWelfare .@chrisloder are definitely NOT#AnimalRights AS FOLLOWS
Grinding up male chicks
bc it's animal "welfare" AND also .@rspcaassured you know, "high welfare"pic.twitter.com/ZXk4y3t1sj
Hvala. Twitter će to iskoristiti za poboljšanje vaše vremenske crte. PoništiPoništi -
Krasnov proslijedio/la je Tweet
BABIES. SHOT. IN. THE. HEAD. OMG, right
#YouShouldKnow that THIS happens daily in#AnimalAgriculture If a male calf is not raised for#veal they are wastage. This is what the#dairyindustry keeps WELL HIDDEN.#ditchdairy this#FebruDairy2020 &#StopAnimalAbusehttps://twitter.com/GrahamCD62/status/1225346070550589440 …
2:10Hvala. Twitter će to iskoristiti za poboljšanje vaše vremenske crte. PoništiPoništi -
Krasnov proslijedio/la je Tweet
A doctor who was among the first to warn about the Wuhan coronavirus has now died from the disease.https://trib.al/4L2Ulfg
Hvala. Twitter će to iskoristiti za poboljšanje vaše vremenske crte. PoništiPoništi -
Krasnov proslijedio/la je Tweet
Thanks to everyone who worked so hard on impeachment. It was simple. Trump’s a criminal. He needed to be impeached and removed. He is now impeached forever. Sadly, Republicans betrayed us all and chose Trump over America. Now it’s on us to find Trump/GOP guilty at the ballot box.
Hvala. Twitter će to iskoristiti za poboljšanje vaše vremenske crte. PoništiPoništi -
Krasnov proslijedio/la je Tweet
Then they came for Scott Stedman and I did not speak up.https://twitter.com/forensicnewsnet/status/1225502501929127937 …
Prikaži ovu nitHvala. Twitter će to iskoristiti za poboljšanje vaše vremenske crte. PoništiPoništi -
Krasnov proslijedio/la je Tweet
Not once is Gazprombank mentioned. Other Russian connections cast aside. This is absolute journalistic malpractice. Read
@forensicnewsnet for a fuller picture: https://forensicnews.net/2020/01/21/russian-government-bank-deposited-500-million-into-deutsche-bank-subsidiary-as-it-lent-to-trump/ …https://twitter.com/NYTmag/status/1224693664112369665 …Prikaži ovu nitHvala. Twitter će to iskoristiti za poboljšanje vaše vremenske crte. PoništiPoništi -
Krasnov proslijedio/la je Tweet
Trump has nominated Judy Shelton for the Federal Reserve. Call your reps and tell them to vote NO. She wants to abolish the FDIC, which means our money would no longer be insured in banks. She also wants to give Trump more control over the Fed.

https://www.washingtonpost.com/business/2020/02/06/gop-senators-face-new-loyalty-test-whether-approve-trumps-controversial-fed-nominee-judy-shelton/?itid=hp_hp-cards_hp-card-business2%3Ahomepage%2Fcard-ans …Hvala. Twitter će to iskoristiti za poboljšanje vaše vremenske crte. PoništiPoništi -
Krasnov proslijedio/la je Tweet
We're looking for a home for Midnight, who seems to be a victim of
#blackdogsyndrome. Whilst her friend Audrey has been reserved (Audrey is the brown coloured dog in the centre) Midnight has not received a single enquiry. She's currently in Romania & can be rehomed in the UK. DM.pic.twitter.com/204szjFOJ9Hvala. Twitter će to iskoristiti za poboljšanje vaše vremenske crte. PoništiPoništi -
Krasnov proslijedio/la je Tweet
Yo .
@RedTractorFood your
of #HighWelfare is NOT going to fool everyone This is just ONE of your approved#AnimalAgricultureIsAbuse farms in#Ireland & approved by the#government#MeetYourMeat#UK#Vegan bc
pic.twitter.com/MU6k3KHfh9
Hvala. Twitter će to iskoristiti za poboljšanje vaše vremenske crte. PoništiPoništi -
Krasnov proslijedio/la je Tweet
>
@chrisloder just another#HighWelfare farm
under the stamp of .@RedTractorFood#LodersLaw maybe should be changed to#EndAnimalAg LAWHvala. Twitter će to iskoristiti za poboljšanje vaše vremenske crte. PoništiPoništi -
Krasnov proslijedio/la je Tweet
In Northern Ireland, pigs on a “high-welfare” farm – with “Red Tractor” certification – were filmed with gaping wounds and bloodied faces. They were eating each other alive, and many had been left to die on the farm floor.


https://www.peta.org.uk/blog/pigs-red-tractor/ …Hvala. Twitter će to iskoristiti za poboljšanje vaše vremenske crte. PoništiPoništi -
Krasnov proslijedio/la je Tweet
Beautiful tortie kitten in
#LexingtonNC at the Davidson County Shelter must have exit now! The shelter is 100% full & strays only get 72 hours & she must be out by 02/07 for sure! Adopt! Pledge! Email DCASrescue@gmail.com to rescue! VERY URGENT! https://www.facebook.com/1754452847899869/photos/a.1754633627881791/3031092080235933/?type=3&theater …pic.twitter.com/HVRcNcjeWA
Hvala. Twitter će to iskoristiti za poboljšanje vaše vremenske crte. PoništiPoništi
Čini se da učitavanje traje već neko vrijeme.
Twitter je možda preopterećen ili ima kratkotrajnih poteškoća u radu. Pokušajte ponovno ili potražite dodatne informacije u odjeljku Status Twittera.



